Всем известны замечательные труженики и непоседы муравьи. Их сложное сооружение под названием муравейник может жить 200 лет и приносить неоценимую пользу лесу. Около миллиона его обитателей, не жалея сил и здоровья, очищают лес от вредных насекомых.
Однако муравейник населён не только муравьями, но и другими насекомыми. Это и жуки, и клопы, а также мухи, осы, сверчки, кузнечики, пауки.
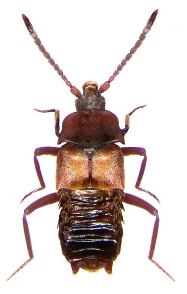
Но есть особо ценные гости, забота о которых приносит самое большое наслаждение. Это жуки-ломехузы. Они живут как сыр в масле в муравейнике, где получают полный пансион и защиту. Стоит только жуку коснуться своими усиками муравья — и тот, как по команде, выдаёт ему пищу из своего зобика.
Однако эта любовь взаимная: когда муравей касается особых волосков на теле жука, то получает капельки пьянящей жидкости. Часто муравьи расталкивают друг друга, чтобы напиться секретного зелья. Печальна судьба насекомых, которые слишком привязаны к наркотическим удовольствиям, предоставляемым им жучком-ломехузой.
Потомство ломехузы муравьи берегут как зеницу ока, помещая в лучшие комнатки своего замечательного дома вместе со своим родным потомством. Но приживалы ведут себя не только нескромно, а даже варварски. И жук, и его личинки питаются муравьиным потомством на виду у гостеприимных хозяев. Мало того, заботливые муравьи несмотря ни на что дополнительно подкармливают злоумышленников.
Бывают годы, когда ломехузы разводятся в таком количестве, что их подневольные друзья, забыв о собственных голодных детях, кормят чужое потомство. Результат очень печальный: вместо муравьиных цариц формируются недоразвитые, неспособные к размножению и труду потомки. Такой муравейник обречён.
Что же таит в себе порочное зелье жука-ломехузы? Оно образуется в особых железах, расположенных в основании волосков на брюшке жука, и вызывает у муравьев наркотическую привязанность, нарушая нормальную жизнь муравейника. Изучив его состав, учёные пришли к выводу, что зелье это похоже на эфир. Есть мнение, что витамины и другие полезные вещества также могут содержаться в данном «напитке».
Однако приходит время, и старательные муравьи сами губят своего сожителя. Когда появляются куколки, то для создания комфортных условий требуется смена помещения. Вот тогда и наступает расплата. Жёсткая оболочка муравьиных куколок выдерживает транспортировку, а мягкие и слабые ниточки, которыми покрыты куколки жука, повреждаются челюстями муравьёв. Куколки ломехузы массово гибнут, и потомство жестокого гостя оказывается очень малочисленным.
Всё в природе стремится к равновесию. Любое злоупотребление приводит к гибели не только одной особи, а порой и целого сообщества. Эти законы действуют для всех — и для человека, и для муравья. Злоупотребление вредными привычками нам также грозит гибелью. И только глубокое осознание этого обязано помочь выжить, на то и дано людям мыслить здраво.






Владимир Заруйкин, спасибо за разъяснение. Понял - Тед Бриггс, сначала взлетевший в воздух, потом засосанный в воронку, под водой,...